RECENT NEWS

[aioseo_breadcrumbs]
Bookmark This News

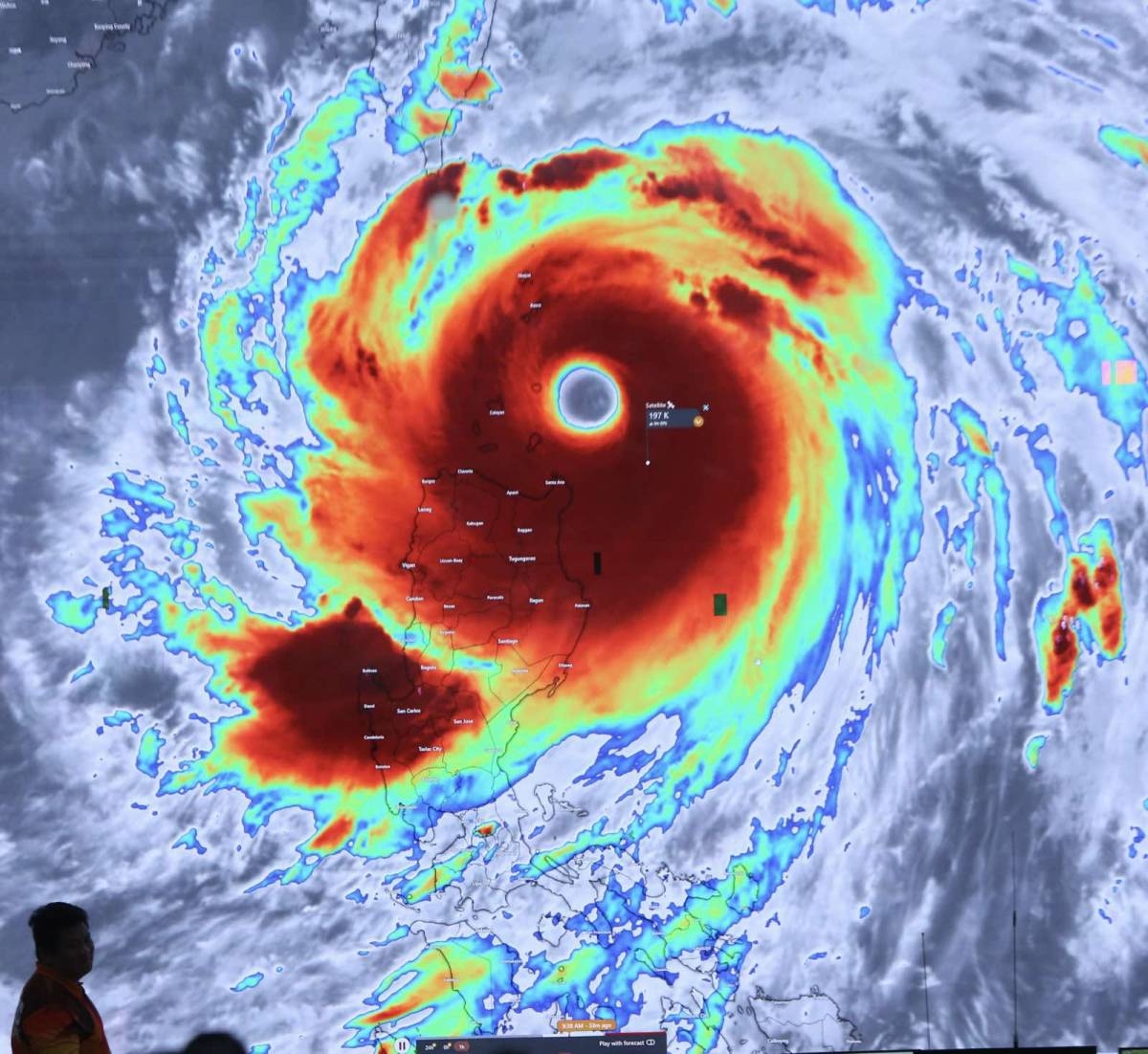
Super Typhoon Nando blows out; LPA to enter Tuesday

MANILA, Philippines — Super Typhoon Nando has left the Philippine Area of Responsibility (PAR) but a low pressure area (LPA) will likely enter on Tuesday afternoon, the weather bureau said.

Nathaniel Servando, administrator of the Philippine Atmospheric, Geophysical and Astronomical Services Administration (Pagasa), said that the super typhoon exited the archipelago early Tuesday morning.

He said that Signal No. 2 remains up over Babuyan Islands and Signal No. 1 over Batanes and some neighboring provinces.

Servando said they are closely monitoring the movement of the LPA spotted off Mindanao, which was forecast to enter PAR on Tuesday afternoon.

Once inside, it is expected to quickly intensify into a tropical depression and will be named “Opong,” the 15th storm to hit the country this year.

Read More

For more News like this Visit Pinas Times

Receive the latest news

Subscribe To Our Daily Newsletter

Get notified about new articles

Subscription form - Summary

Receive the latest news

Subscribe To Our Daily Newsletter

Get notified about new articles

Subscription form - Summary